土地
豊川市御津町広石小前 売地

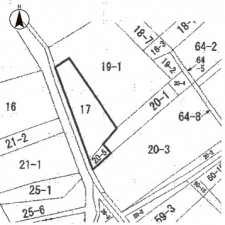
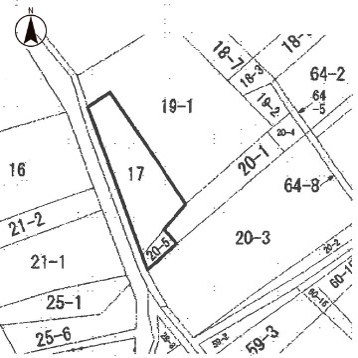
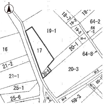
間取※図面と現況に相違ある場合には現況優先とします。

外観前面道路:南側約20m幅

外観前面約20m幅の道路に面しており、通行や駐車の際に余裕がある広さです。運転が苦手な方でもラクラク!

外観お客様目線で購入をサポート!ご購入のご相談は家デパへ!

外観知識豊富なスタッフが各種オプションや住宅ローンのご相談にご対応致します。

外観初めての購入や住み替え住宅ローンが心配など、住宅購入に関するお悩みご不安など丁寧にサポート致します!

外観インターネットに掲載していない物件等も多数取り扱っています!まずはお気軽にお問い合わせください。

周辺御津北部小学校(580m)

周辺御津中学校(1380m)

周辺御津北部保育園(380m)

周辺たつみストアー御津店(1650m)

周辺ファミリーマート豊川御律店(1580m)

周辺ココカラファイン為当店(1710m)

周辺蒲郡信用金庫 御津支店(1600m)

周辺御津広石郵便局(700m)

周辺たけもとクリニック(720m)
| 所在地 | 愛知県豊川市御津町広石小前 | ||
|---|---|---|---|
| 価格 | 250万円 | 月々支払例 | 6,193円 |
| 学校区 | 御津北部小学校 御津中学校 | ||

250万円

6,193円
※全額借入、40年返済、変動金利0.89%の場合
| 物件種別 | 土地 | ||
|---|---|---|---|
| 物件No. | 2603134 | ||
| 所在地 | 愛知県豊川市御津町広石小前 | ||
| 小学校区 | 御津北部小学校 (距離: 580m) | 中学校区 | 御津中学校 (距離: 1380m) |
| 土地面積 | 150.00m²(45坪) | ||
|---|---|---|---|
| 駐車場 | 水道 | 公営 | |
| ガス | プロパン | 排水 | 下水 |
| 都市計画 | 市街化区域 | 用途地域 | 第一種中高層住居専用 |
|---|---|---|---|
| 地目 | 畑 | 土地権利 | 所有権 |
| 私道負担 | 地勢 | 平坦 | |
| 建ぺい率 | 60% | 容積率 | 200% |
| 現況 | 更地 | 引渡時期 | 相談 |
| 引渡可能年月 | |||
| セールスポイント | ■御津南部小学校、御津北部保育園まで徒歩圏内!■建築条件はありません。■お好きなハウスメーカーで建築可能。■落ち着いた環境の閑静な住宅地■バス停「広石詰所前」まで徒歩3分!■前面南道路で日当たり良好! | ||
| 備考 | ・法22条区域 | ||
| 交通 | JR東海道本線 愛知御津駅 徒歩26分 名鉄名古屋本線 国府駅 徒歩34分 名鉄豊川線 国府駅 バス乗車12分 バス停:広石詰所前 停歩3分 |
||
|---|---|---|---|
| 接道状況 | 状況:一方南側 幅員20m 公道 5.5m接面 | ||
| 取引態様 | 仲介 | 取引条件の有効期限 | |
| 情報登録日 | 2026年05月11日 | 次回更新日 | 2026年05月25日 |

家デパ 豊橋店
0532-39-4453
受付時間/9:00~18:30
定休日/水曜日
定休日/水曜日
家デパ 豊川店
0533-56-7072
受付時間/9:00~18:30
定休日/水曜日
定休日/水曜日
家デパ 知立店
0566-91-3344
受付時間/9:00~18:30
定休日/水曜日
定休日/水曜日
家デパ 浜松店
053-401-6610
受付時間/9:00~18:30
定休日/水曜日
定休日/水曜日
愛知県豊川市御津町広石小前
【物件No.】
2603134
物件No.をお知らせください
-
豊橋市物件一覧(653件)
中古戸建…120件
新築戸建…130件
中古マンション…50件
土地…353件
-
豊川市物件一覧(291件)
中古戸建…59件
新築戸建…68件
中古マンション…14件
土地…150件
-
蒲郡市物件一覧(80件)
中古戸建…25件
新築戸建…34件
中古マンション…6件
土地…15件
-
額田郡幸田町物件一覧(1件)
中古戸建…0件
新築戸建…0件
中古マンション…0件
土地…1件
-
新城市物件一覧(26件)
中古戸建…18件
新築戸建…7件
中古マンション…0件
土地…1件
-
田原市物件一覧(75件)
中古戸建…20件
新築戸建…25件
中古マンション…0件
土地…30件
-
湖西市物件一覧(0件)
中古戸建…0件
新築戸建…0件
中古マンション…0件
土地…0件












