土地
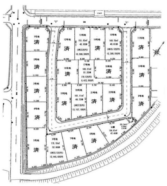
豊川市小田渕町3丁目 17号地
| 所在地 | 愛知県豊川市小田渕町3丁目 | ||
|---|---|---|---|
| 価格 | 947.20万円 | 月々支払例 | 23,462円 |
| 学校区 | 桜町小学校 代田中学校 | ||

947.20万円

23,462円
※全額借入、40年返済、変動金利0.89%の場合
| 物件種別 | 土地 | ||
|---|---|---|---|
| 物件No. | 2402097 | ||
| 所在地 | 愛知県豊川市小田渕町3丁目 | ||
| 小学校区 | 桜町小学校 (距離: 940m) | 中学校区 | 代田中学校 (距離: 2470m) |
| 土地面積 | 169.27m²(51坪) | ||
|---|---|---|---|
| 駐車場 | 水道 | 公営 | |
| ガス | 排水 | 下水 | |
| 都市計画 | 市街化区域 | 用途地域 | 工業 |
|---|---|---|---|
| 地目 | 宅地 | 土地権利 | 所有権 |
| 私道負担 | 地勢 | 平坦 | |
| 建ぺい率 | 60% | 容積率 | 200% |
| 現況 | 更地 | 引渡時期 | 相談 |
| 引渡可能年月 | |||
| 備考 | 上水道下水道工事負担金(メーター13mm)別途50万円(建築時) | ||
| 交通 | 名鉄名古屋本線 小田渕駅 徒歩8分 |
||
|---|---|---|---|
| 接道状況 | 状況:一方北東側 幅員6m 3.7m接面 | ||
| 取引態様 | 仲介 | 取引条件の有効期限 | |
| 情報登録日 | 2026年01月16日 | 次回更新日 | 2026年01月30日 |

家デパ 豊橋店
0532-39-4453
受付時間/9:00~18:30
定休日/水曜日
定休日/水曜日
家デパ 豊川店
0533-56-7072
受付時間/9:00~18:30
定休日/水曜日
定休日/水曜日
家デパ 知立店
0566-91-3344
受付時間/9:00~18:30
定休日/水曜日
定休日/水曜日
家デパ 浜松店
053-401-6610
受付時間/9:00~18:30
定休日/水曜日
定休日/水曜日
愛知県豊川市小田渕町
【物件No.】
2402097
物件No.をお知らせください

土地
豊川市御油町西欠間 A区画
間取り:
建物面積:-
土地面積:163.73m²
建物面積:-
土地面積:163.73m²
価格
万円
890
頭金/ボーナス支払
円
0
月々返済
円
22,045

土地
豊川市平尾町下貝津 売地
間取り:
建物面積:-
土地面積:-
建物面積:-
土地面積:-
価格
万円
950
頭金/ボーナス支払
円
0
月々返済
円
23,531

土地
豊川市諏訪二丁目 売地
間取り:
建物面積:-
土地面積:77.68m²
建物面積:-
土地面積:77.68m²
価格
万円
927.85
頭金/ボーナス支払
円
0
月々返済
円
22,982

土地
豊川市伊奈町南山新田 売地
間取り:
建物面積:-
土地面積:-
建物面積:-
土地面積:-
価格
万円
980
頭金/ボーナス支払
円
0
月々返済
円
24,274
-
豊橋市物件一覧(715件)
中古戸建…128件
新築戸建…174件
中古マンション…57件
土地…356件
-
豊川市物件一覧(310件)
中古戸建…63件
新築戸建…81件
中古マンション…15件
土地…151件
-
蒲郡市物件一覧(94件)
中古戸建…25件
新築戸建…48件
中古マンション…6件
土地…15件
-
額田郡幸田町物件一覧(1件)
中古戸建…1件
新築戸建…0件
中古マンション…0件
土地…0件
-
新城市物件一覧(23件)
中古戸建…13件
新築戸建…9件
中古マンション…0件
土地…1件
-
田原市物件一覧(52件)
中古戸建…17件
新築戸建…7件
中古マンション…1件
土地…27件
-
湖西市物件一覧(0件)
中古戸建…0件
新築戸建…0件
中古マンション…0件
土地…0件






























