土地
豊橋市往完町字往還東 売地

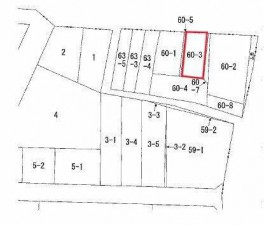
間取1区画※図面と現況に相違ある場合には現況優先とします。

間取区画

外観前面道路:北側約14m幅

外観前面道路は公道で、車のすれ違いもらくらく広々14mの幅があります

外観建物解体後更地渡しです!

外観資料のご請求も迅速に対応させていただきます。住宅ローンのご相談もお気軽にお問い合わせください。

周辺羽根井小学校(500m)

周辺羽田中学校(260m)

周辺花ヶ崎保育園(430m)

周辺ヤマナカ西羽田店(420m)

周辺セブンイレブン豊橋立花町店(640m)

周辺クスリのアオキ東脇店(870m)

周辺豊橋市往完郵便局(270m)

周辺豊橋信用金庫 西支店(600m)

周辺つしまクリニック(270m)
| 所在地 | 愛知県豊橋市往完町字往還東 | ||
|---|---|---|---|
| 価格 | 1,250万円 | 月々支払例 | 30,962円 |
| 学校区 | 羽根井小学校 羽田中学校 | ||

1,250万円

30,962円
※全額借入、40年返済、変動金利0.89%の場合
| 物件種別 | 土地 | ||
|---|---|---|---|
| 物件No. | 2602149 | ||
| 所在地 | 愛知県豊橋市往完町字往還東 | ||
| 小学校区 | 羽根井小学校 (距離: 500m) | 中学校区 | 羽田中学校 (距離: 260m) |
| 土地面積 | 95.47m²(29坪) | ||
|---|---|---|---|
| 駐車場 | 水道 | 公営 | |
| ガス | 都市 | 排水 | 下水 |
| 都市計画 | 市街化区域 | 用途地域 | 第一種住居 |
|---|---|---|---|
| 地目 | 宅地 | 土地権利 | 所有権 |
| 私道負担 | 地勢 | 平坦 | |
| 建ぺい率 | 60% | 容積率 | 200% |
| 現況 | 上物有 | 引渡時期 | 相談 |
| 引渡可能年月 | |||
| セールスポイント | ■建物解体後更地渡し ■建築条件ありません! ■バス停まで徒歩4分! ■お買い物施設まで徒歩圏内で生活に便利! ■前面道路が広々! ■小、中学校まで近く安心の子育て環境! ■豊橋駅までアクセス良好! | ||
| 備考 | 法令等制限:法22条指定区域 | ||
| 交通 | JR東海道本線 豊橋駅 バス乗車7分 バス停:往完町 停歩4分 |
||
|---|---|---|---|
| 接道状況 | 状況:一方北側 幅員14m 公道 6.8m接面 | ||
| 取引態様 | 仲介 | 取引条件の有効期限 | |
| 情報登録日 | 2026年05月22日 | 次回更新日 | 2026年06月05日 |

家デパ 豊橋店
0532-39-4453
受付時間/9:00~18:30
定休日/水曜日
定休日/水曜日
家デパ 豊川店
0533-56-7072
受付時間/9:00~18:30
定休日/水曜日
定休日/水曜日
家デパ 知立店
0566-91-3344
受付時間/9:00~18:30
定休日/水曜日
定休日/水曜日
家デパ 浜松店
053-401-6610
受付時間/9:00~18:30
定休日/水曜日
定休日/水曜日
愛知県豊橋市往完町
【物件No.】
2602149
物件No.をお知らせください

土地
豊橋牛川西部土地区画整理事業地内 売地
間取り:
建物面積:-
土地面積:177.00m²
建物面積:-
土地面積:177.00m²
価格
万円
1,290
頭金/ボーナス支払
円
0
月々返済
円
31,952

土地
豊橋市下条西町字東郷廻り 6号地
間取り:
建物面積:-
土地面積:-
建物面積:-
土地面積:-
価格
万円
1,204.20
頭金/ボーナス支払
円
0
月々返済
円
29,827

土地
豊橋市東小浜町 売地
間取り:
建物面積:-
土地面積:-
建物面積:-
土地面積:-
価格
万円
1,280
頭金/ボーナス支払
円
0
月々返済
円
31,705

土地
豊橋市向山町字池下 売地
間取り:
建物面積:-
土地面積:152.16m²
建物面積:-
土地面積:152.16m²
価格
万円
1,200
頭金/ボーナス支払
円
0
月々返済
円
29,723
-
豊橋市物件一覧(664件)
中古戸建…126件
新築戸建…131件
中古マンション…50件
土地…357件
-
豊川市物件一覧(297件)
中古戸建…58件
新築戸建…68件
中古マンション…17件
土地…154件
-
蒲郡市物件一覧(78件)
中古戸建…24件
新築戸建…33件
中古マンション…6件
土地…15件
-
額田郡幸田町物件一覧(1件)
中古戸建…0件
新築戸建…0件
中古マンション…0件
土地…1件
-
新城市物件一覧(26件)
中古戸建…17件
新築戸建…8件
中古マンション…0件
土地…1件
-
田原市物件一覧(74件)
中古戸建…21件
新築戸建…25件
中古マンション…0件
土地…28件
-
湖西市物件一覧(0件)
中古戸建…0件
新築戸建…0件
中古マンション…0件
土地…0件













